

30 Ocak 1975'te Marmara Denizi'ne düşen Türk Hava Yolları'na (THY) ait 'Bursa' isimli Fokker F-28 uçağı, kazada 42 kişi hayatını kaybetmişti ve o günden bu yana enkazı bulunamamıştı. Arama çalışmaları, halen devam etmektedir.

Sanal medya fenomeni Nedim Kuru ve ekibi, Marmara Denizi'nin Büyükçekmece ve Ambarlı bölgesinde 5. kez arama faaliyetlerine devam etti. Bu sefer su altı dronları ve SONAR ile derin tarama gerçekleştirildi.
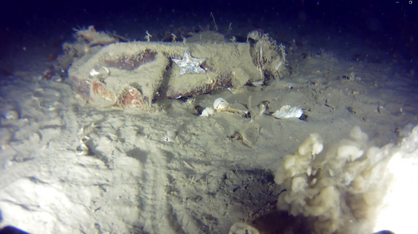
Taramalar sonucunda, uçağa ait olduğu düşünülen alüminyum parçalar tespit edildi. Nedim Kuru ayrıca, İstanbul Valiliği'ne Marmara Denizi içerisinde bir anıt mezar inşa etme talebinde bulundu.

Önceki Arama Çalışmaları Yetersiz Kalmıştı
Bu kazada hayatını kaybedenler arasında, teknik direktör Fatih Terim’in eşi Fulya Terim'in babası Kamuran Aksu ve şarkıcı Seyyal Taner’in hostes kız kardeşi Serap Özşahin gibi önemli isimler bulunmaktaydı.
Dönemdeki teknolojik yetersizlikler sebebiyle enkaz resmi olarak çıkarılamamış ve yapılan arama faaliyetleri sınırlı kalmıştır.

5 Saat Süren Arama Faaliyetinde Yeni Parçalar Bulundu
Nedim Kuru, 5. dalış operasyonu kapsamında Marmara Denizi'nde gerçekleştirdiği çalışmaları aktardı. “THY'ye ait 'Bursa' isimli uçağın düştüğü bölgedeki 7 saatlik arama süresince, su altı dronu ile enkaza ait diğer parçaları görüntüledik. Tespit edilen parçalar arasında alüminyum olanların uçağa ait olduğunu düşünüyoruz,” ifadelerini kullandı.


